征收土地公告
2023年12月8日,天津市人民政府以《市规划资源局关于天津中心城区至静海市域(郊)铁路首开段工程农用地转用土地征收的批复》(津规资源准函〔2023〕156号)批准征收土地4.96033公顷,根据《中华人民共和国土地管理法》《中华人民共和国土地管理法实施条例》《天津市土地管理条例》等法律法规要求,现将经依法批准的征收土地有关事项公告如下:
一、建设单位及建设项目名称、土地用途
1.建设单位:天津市市域铁路建设发展有限公司;
2.建设项目:天津中心城区至静海市域(郊)铁路首开段工程;
3.征收土地用途:交通运输用地。
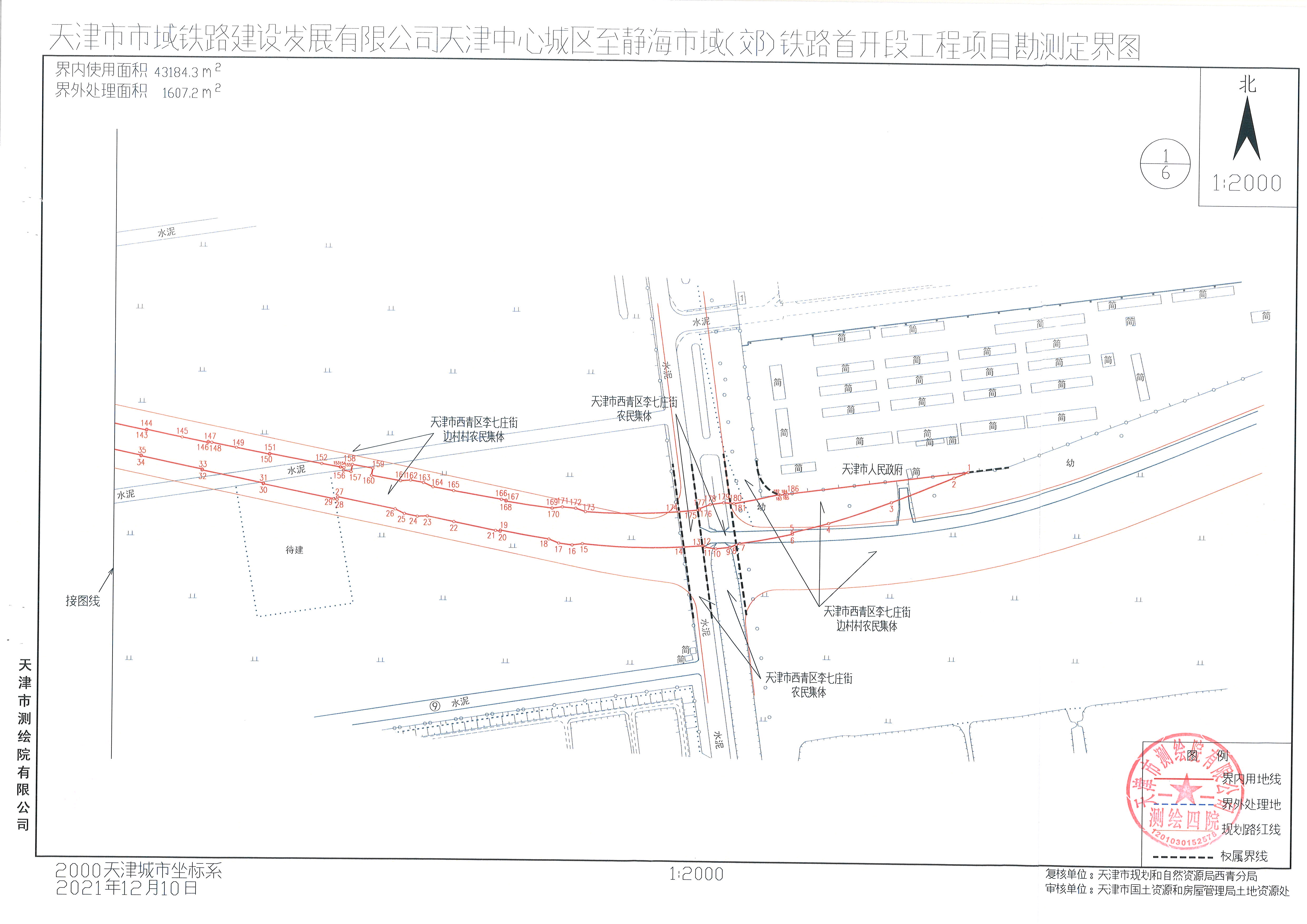
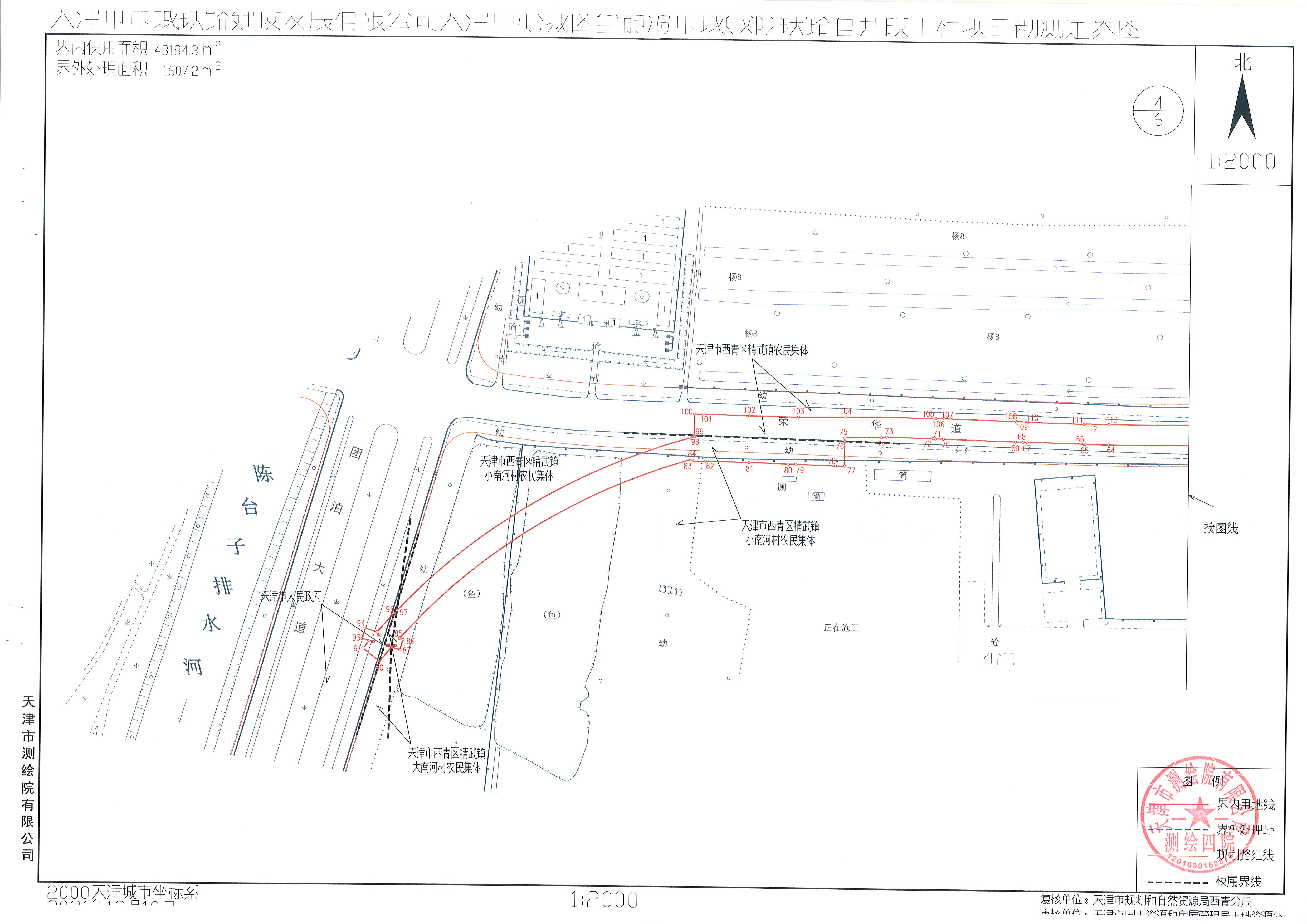
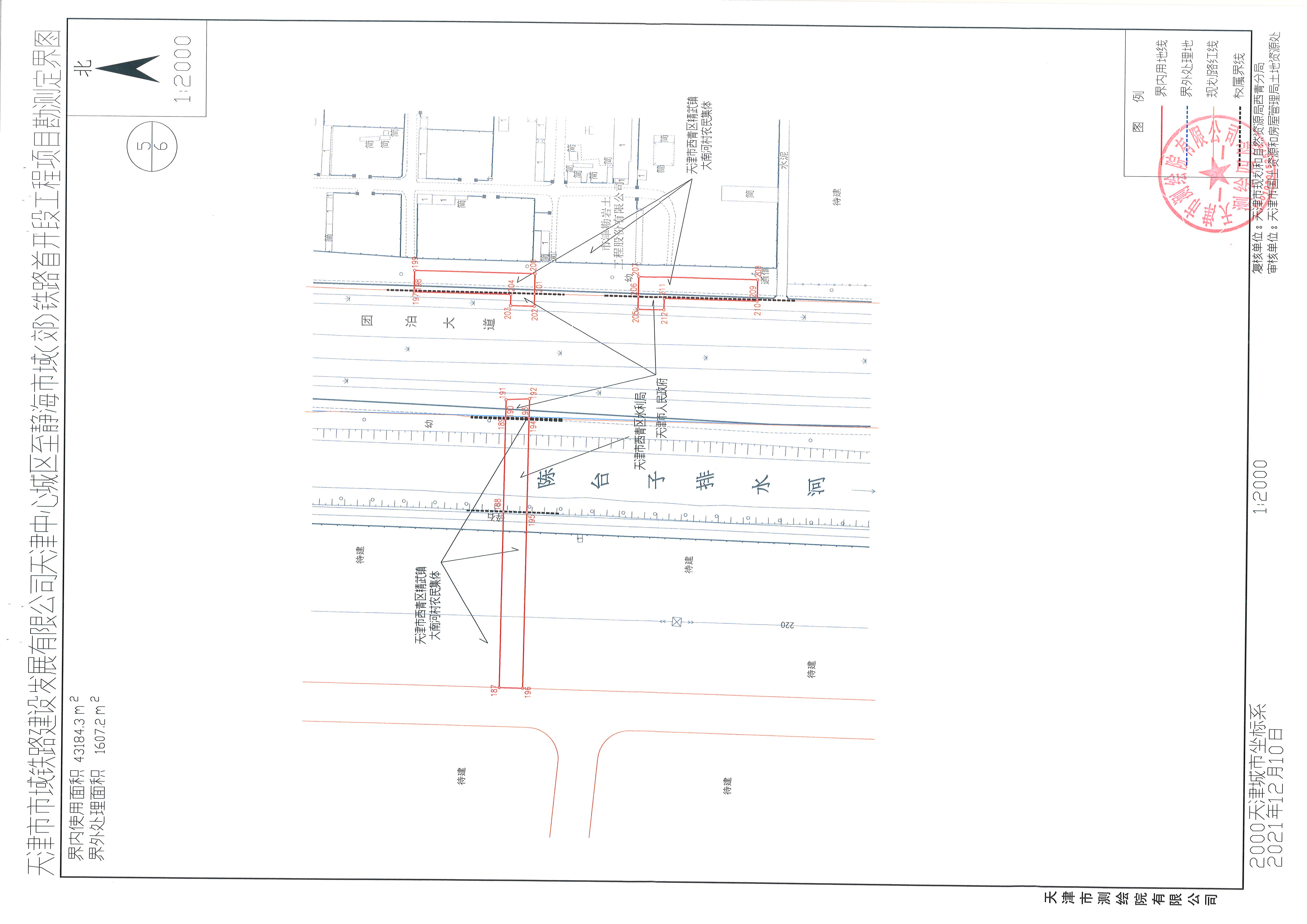
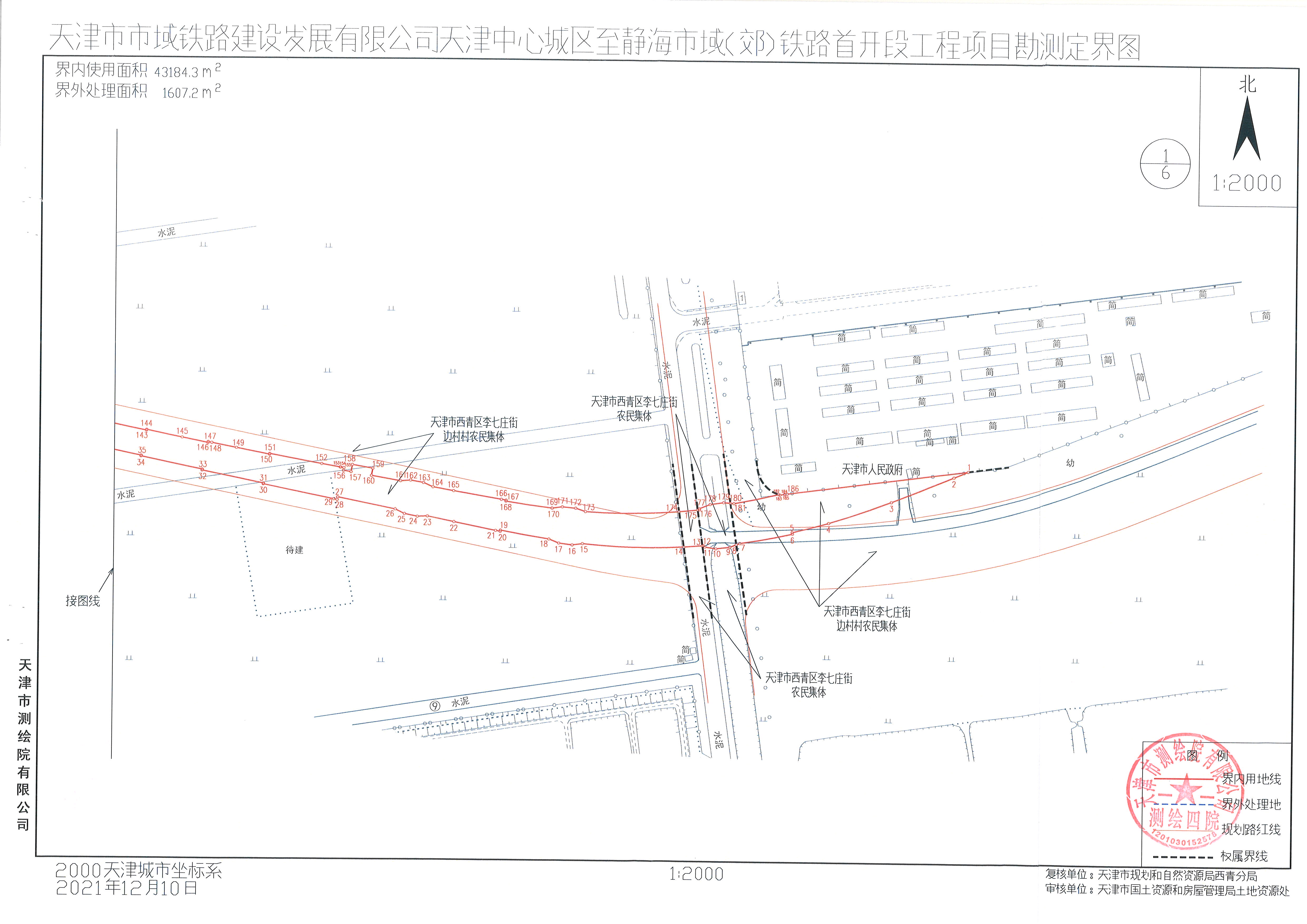
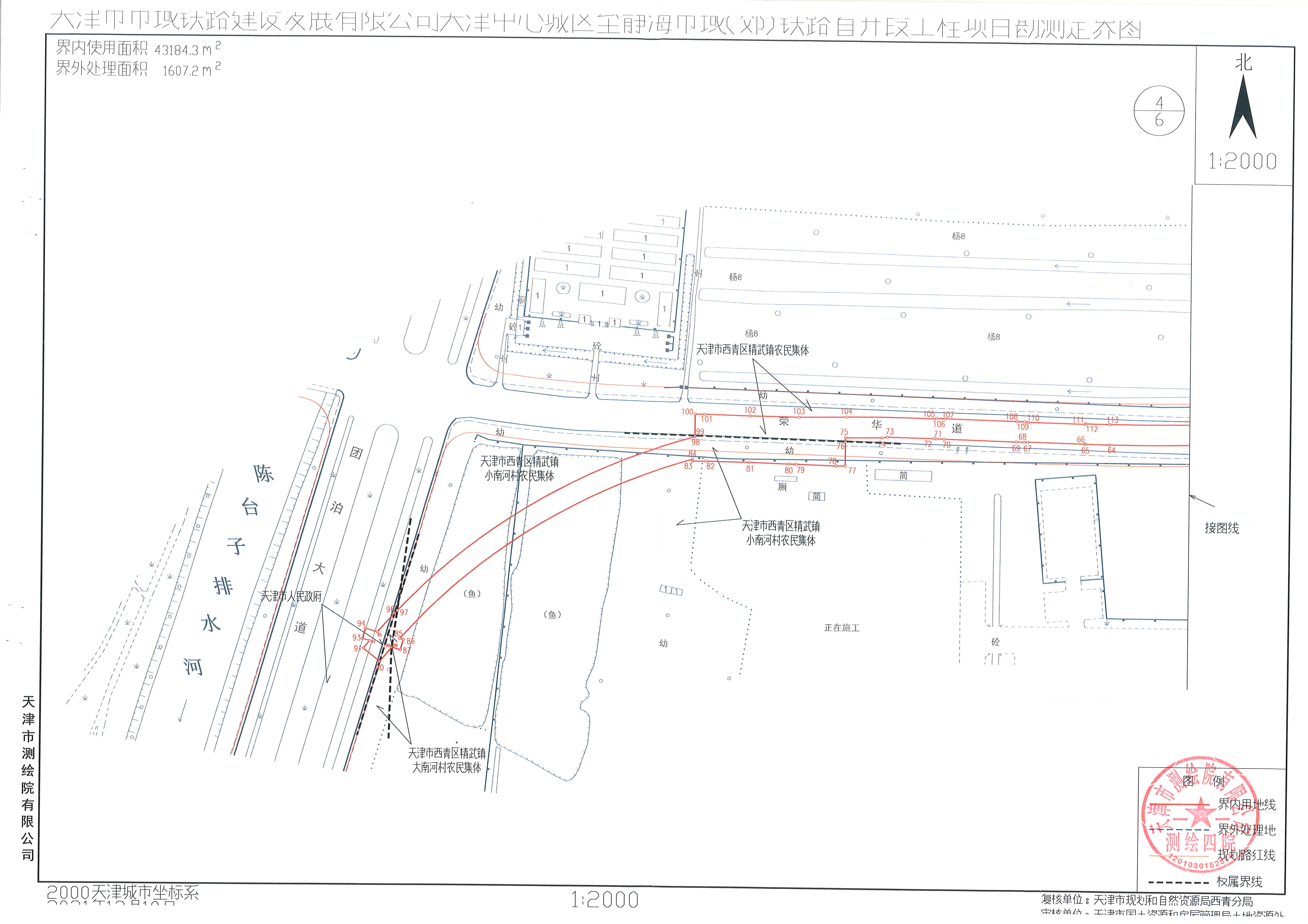
二、征收土地范围和位置(见附图)
东:边村、大南河村、陈台子村;
南:李七庄街农民集体、精武镇农民集体、边村、小南河村、
大南河村、陈台子村;
西:大南河村;
北:李七庄街农民集体、精武镇农民集体、边村、小南河村、大南河村、陈台子村。
三、征收土地权属、地类、面积
征收土地精武镇大南河村集体土地0.37680公顷(合5.652亩),具体情况如下:
|
地类 |
征收土地面积(公顷) |
征收土地面积(亩) |
|
耕地 |
|
|
|
园地 |
|
|
|
林地 |
0.00910 |
0.1365 |
|
牧草地 |
|
|
|
其他农用地 |
0.01305 |
0.19215 |
|
建设用地 |
0.35465 |
5.31975 |
|
未利用地 |
|
0.0036 |
|
合计 |
0.37680 |
5.652 |
征收土地精武镇小南河村集体土地0.77487公顷(合11.62305亩),具体情况如下:
|
地类 |
征收土地面积(公顷) |
征收土地面积(亩) |
|
耕地 |
|
|
|
园地 |
|
|
|
林地 |
0.49730 |
7.4595 |
|
牧草地 |
|
|
|
其他农用地 |
0.25415 |
3.81225 |
|
建设用地 |
0.02342 |
0.3513 |
|
未利用地 |
|
|
|
合计 |
0.77487 |
11.62305 |
征收土地精武镇集体土地1.47187公顷(合22.07805亩),具体情况如下:
|
地类 |
征收土地面积(公顷) |
征收土地面积(亩) |
|
耕地 |
0.06108 |
0.9162 |
|
园地 |
|
|
|
林地 |
|
|
|
牧草地 |
|
|
|
其他农用地 |
0.14135 |
0.46695 |
|
建设用地 |
1.26944 |
19.0416 |
|
未利用地 |
|
1.6533 |
|
合计 |
1.47187 |
22.07805 |
征收土地精武镇陈台子村集体土地0.97503公顷(合14.62545亩),具体情况如下:
|
地类 |
征收土地面积(公顷) |
征收土地面积(亩) |
|
耕地 |
|
|
|
园地 |
|
|
|
林地 |
0.16985 |
2.54775 |
|
牧草地 |
|
|
|
其他农用地 |
0.75637 |
0.9231 |
|
建设用地 |
0.04881 |
0.73215 |
|
未利用地 |
|
10.42245 |
|
合计 |
0.97503 |
14.62545 |
征收土地李七庄街边村集体土地1.27460公顷(合19.119亩),具体情况如下:
|
地类 |
征收土地面积(公顷) |
征收土地面积(亩) |
|
耕地 |
0.07890 |
1.1835 |
|
园地 |
|
|
|
林地 |
0.19620 |
2.943 |
|
牧草地 |
|
|
|
其他农用地 |
0.9995 |
0.8415 |
|
建设用地 |
|
|
|
未利用地 |
|
|
|
合计 |
1.27460 |
19.119 |
征收土地李七庄街集体土地0.08716公顷(合1.3074亩),具体情况如下:
|
地类 |
征收土地面积(公顷) |
征收土地面积(亩) |
|
耕地 |
0.02666 |
0.3999 |
|
园地 |
|
|
|
林地 |
0.00024 |
0.0036 |
|
牧草地 |
|
|
|
其他农用地 |
0.06026 |
0.9039 |
|
建设用地 |
|
|
|
未利用地 |
|
|
|
合计 |
0.08716 |
1.3074 |
四、征收土地补偿标准及补偿安置方案
本次征收土地补偿费和安置补助费标准按照《天津市征地区片综合地价标准》执行,为145.5—309万元/公顷,计1141.141275万元。土地补偿费和安置补助费采取货币补偿,支付给被征地的农村集体经济组织。
农村村民住宅、其他地上附着物和青苗的补偿安置,另行依照征地补偿安置协议执行。
五、征收土地安置人员数量及安置方式
依照天津市规定,本次征收土地安置农业人口3人,采取社保方式进行安置。
六、征收土地工作安排
(一)征地补偿费用拨付
本次征收土地涉及的征地补偿安置有关费用由区人民政府组织市规划资源局西青分局、乡镇人民政府(街道办事处)等单位按照征地补偿安置协议约定的时间和方式进行拨付。
(二)交付土地
征地补偿安置有关费用足额拨付后,相关各方要及时清理地上附着物和青苗,按照征地补偿安置协议约定的时间交付土地。逾期不腾退土地的区人民政府将责令交出土地;拒不交出土地的,将依法申请人民法院强制执行。
特此公告。
西青区人民政府
2023年12月18日







2、 天津中心城区至静海市域(郊)铁路首开段工程(西青段主体部分)勘测定界图 (1).jpg
3、 天津中心城区至静海市域(郊)铁路首开段工程(西青段主体部分)勘测定界图 (2).jpg
4、 天津中心城区至静海市域(郊)铁路首开段工程(西青段主体部分)勘测定界图 (3).jpg
5、 天津中心城区至静海市域(郊)铁路首开段工程(西青段主体部分)勘测定界图 (4).jpg
6、 天津中心城区至静海市域(郊)铁路首开段工程(西青段主体部分)勘测定界图 (5).jpg
7、 天津中心城区至静海市域(郊)铁路首开段工程(西青段主体部分)勘测定界图 (6).jpg


津公网安备12010102000518号