征收土地预公告
武清区征告字〔2024〕127 号
根据《中华人民共和国土地管理法》《中华人民共和国土地管理法实施条例》《天津市土地管理条例》等法律法规规定,为了公共利益需要,拟征收河北屯镇肖赶庄村集体土地。现将有关情况公告如下:
一、拟征收土地目的
依据《武清区行政审批局关于国能中源(天津)新能源科技发展有限公司建设天津市武清区国能中源河北屯25MW风电项目核准的批复》(津武审批投资〔2023〕88号),用于天津市武清区国能中源河北屯25MW风电项目建设。
二、拟征收土地范围
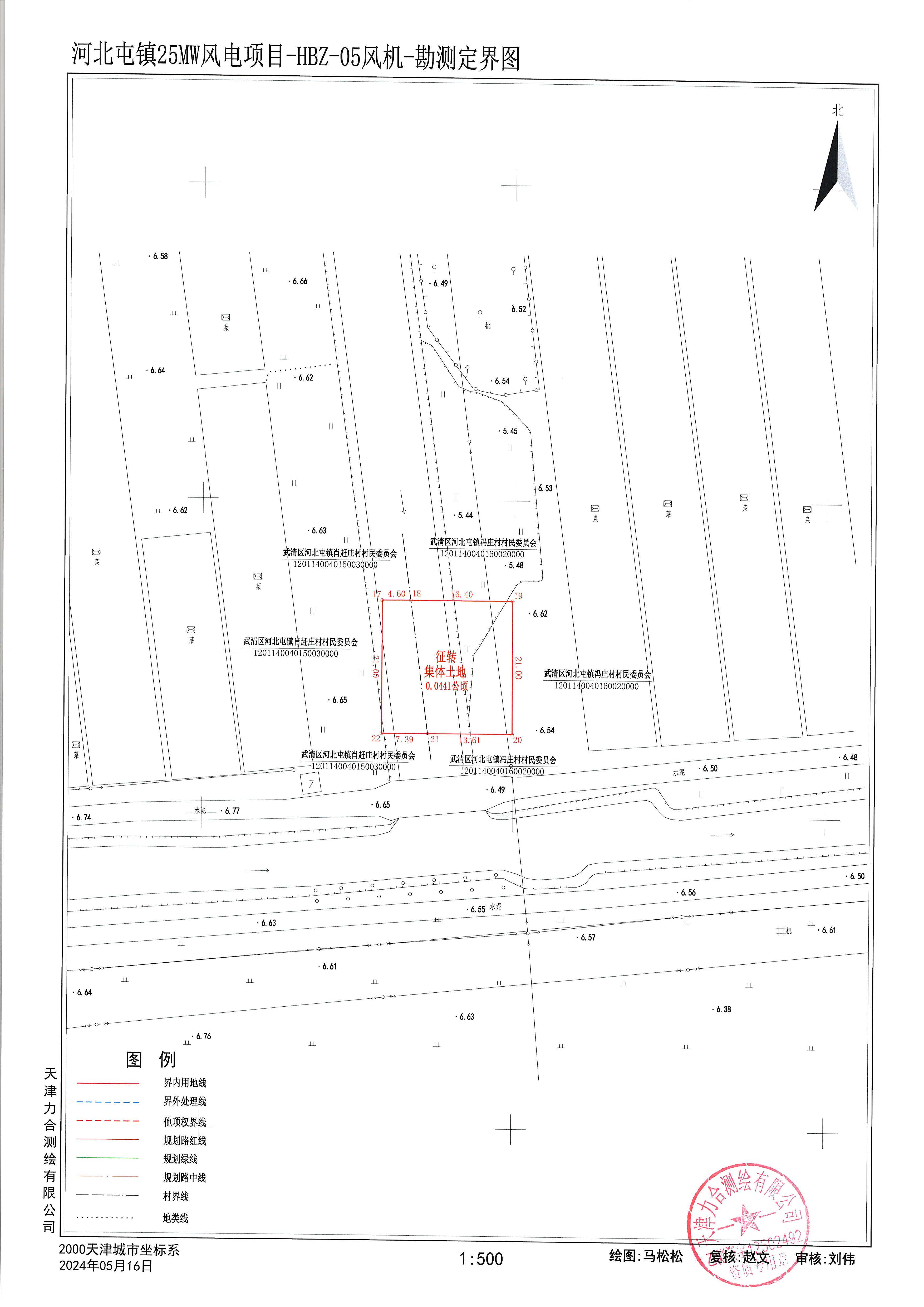
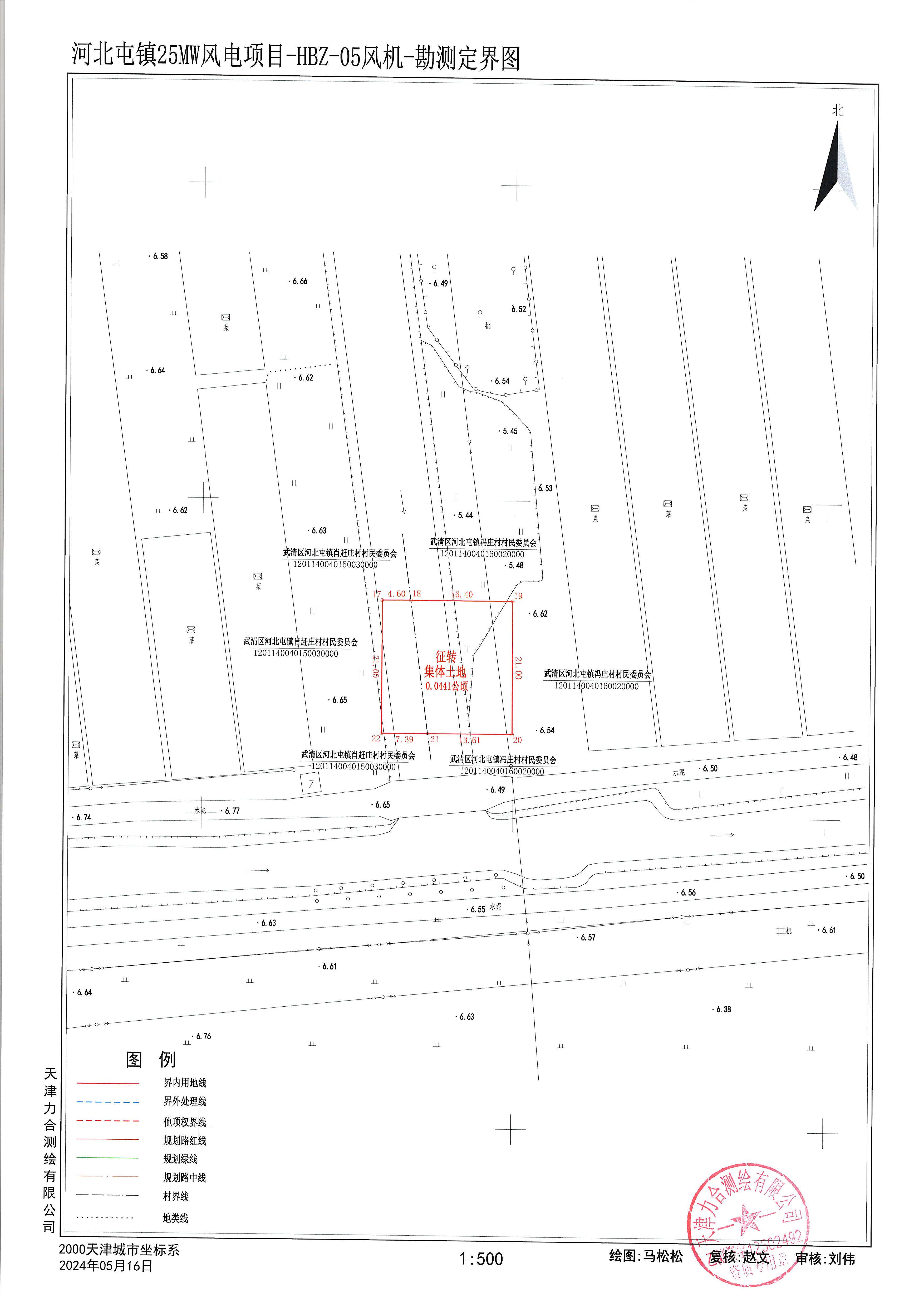
拟征收你村位于武清区河北屯镇肖赶庄村(东至河北屯镇肖赶庄村,南至河北屯镇肖赶庄村,西至河北屯镇肖赶庄村,北至河北屯镇肖赶庄村)的土地,面积约0.0567公顷。准确面积和地类以土地现状调查确定的面积和地类为准。
三、土地现状调查确认安排
拟于2024年6月12日起,由河北屯镇人民政府、天津市规划和自然资源局武清分局、天津市武清区农业农村委员会等,赴你村开展土地现状调查确认,请有关单位和个人予以支持配合。
四、公告期限
本公告期限自2024年6月12日至2024年6月27日。(十个工作日)
五、其他事项
自本公告发布之日起,任何单位和个人在拟征土地范围内抢建的房屋及其他地上附着物和抢栽、抢种的青苗,征收土地时一律不予补偿。
特此公告。
联系地址:武清区泉发路12号(市规划资源局武清分局)邮编:301700
联系电话:82114627


武清区人民政府
2024年6月12日
2、 肖赶庄-远.jpg
3、 镇-近1.jpg
4、 镇-近2.jpg
5、 镇-远.jpg
6、 肖赶庄村征地范围勘测定界图.jpg
7、 肖赶庄村征地范围勘测定界图2.jpg


津公网安备12010102000518号