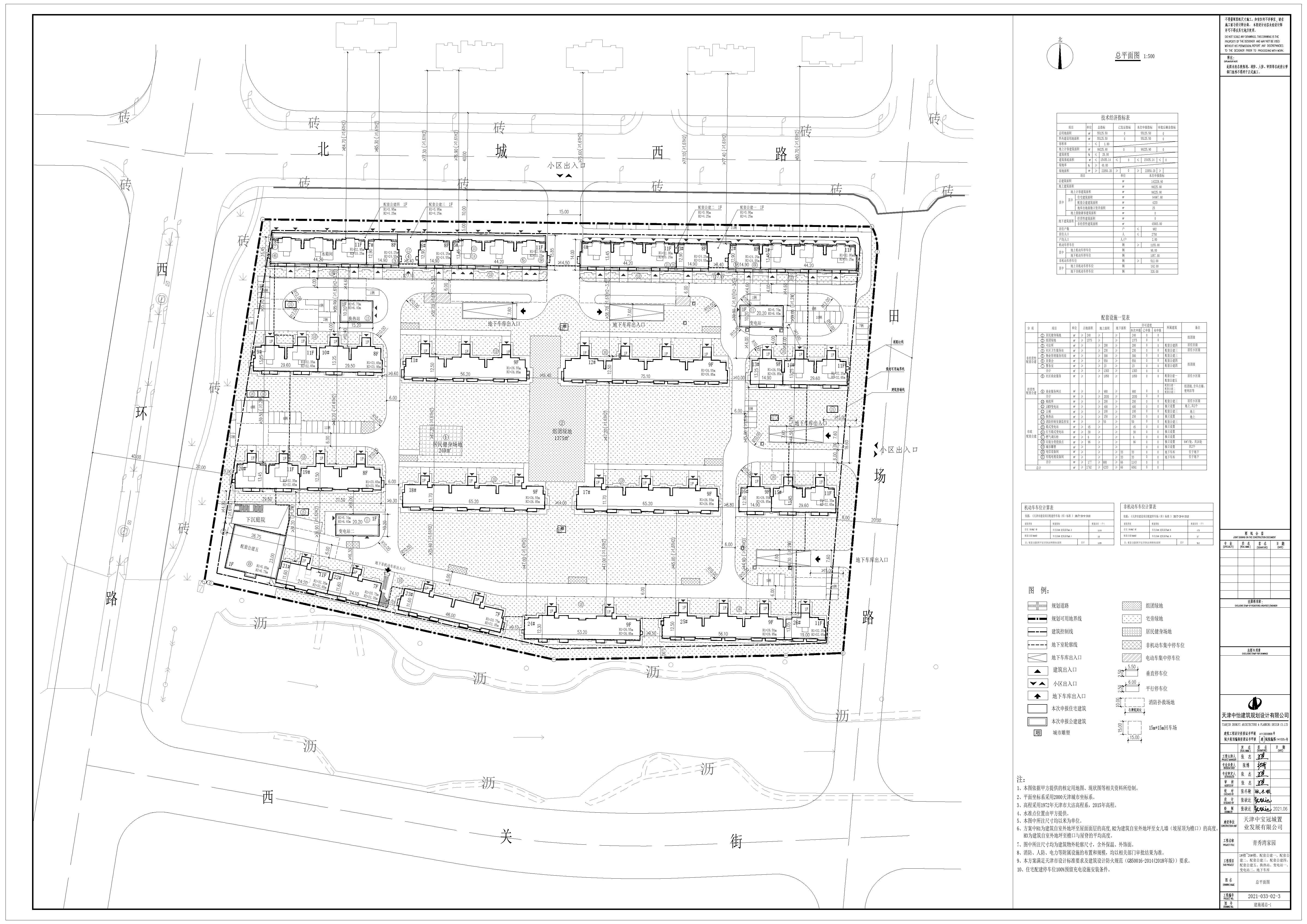
根据《中华人民共和国城乡规划法》,结合该地块所在单元控制性详细规划和《津宝(挂)2019-038号住宅地块规划条件变更论证报告》,拟将该地块建筑限高36米调整到54米,其余指标不变。现将津宝(挂)2019-038号地块(青秀湾)调整方案予以公示。公示期7个工作日,自2025年8月22日至2025年9月1日为止。
建议意见反馈方式:可通过电子邮箱或信件反馈
电子邮箱gzjbdfjkflyk@tj.gov.cn
邮寄地址:天津市宝坻区潮阳大道北侧(天津市规划和自然资源局宝坻分局)
邮政编码:301800
征求意见时间为7个工作日,逾期视为无意见。







津公网安备12010102000518号