依据《中华人民共和国城乡规划法》、住房和城乡建设部《关于城乡规划公开公示的规定》等相关规定要求,现将该项目建设工程设计方案总平面图进行公示,内容如下:
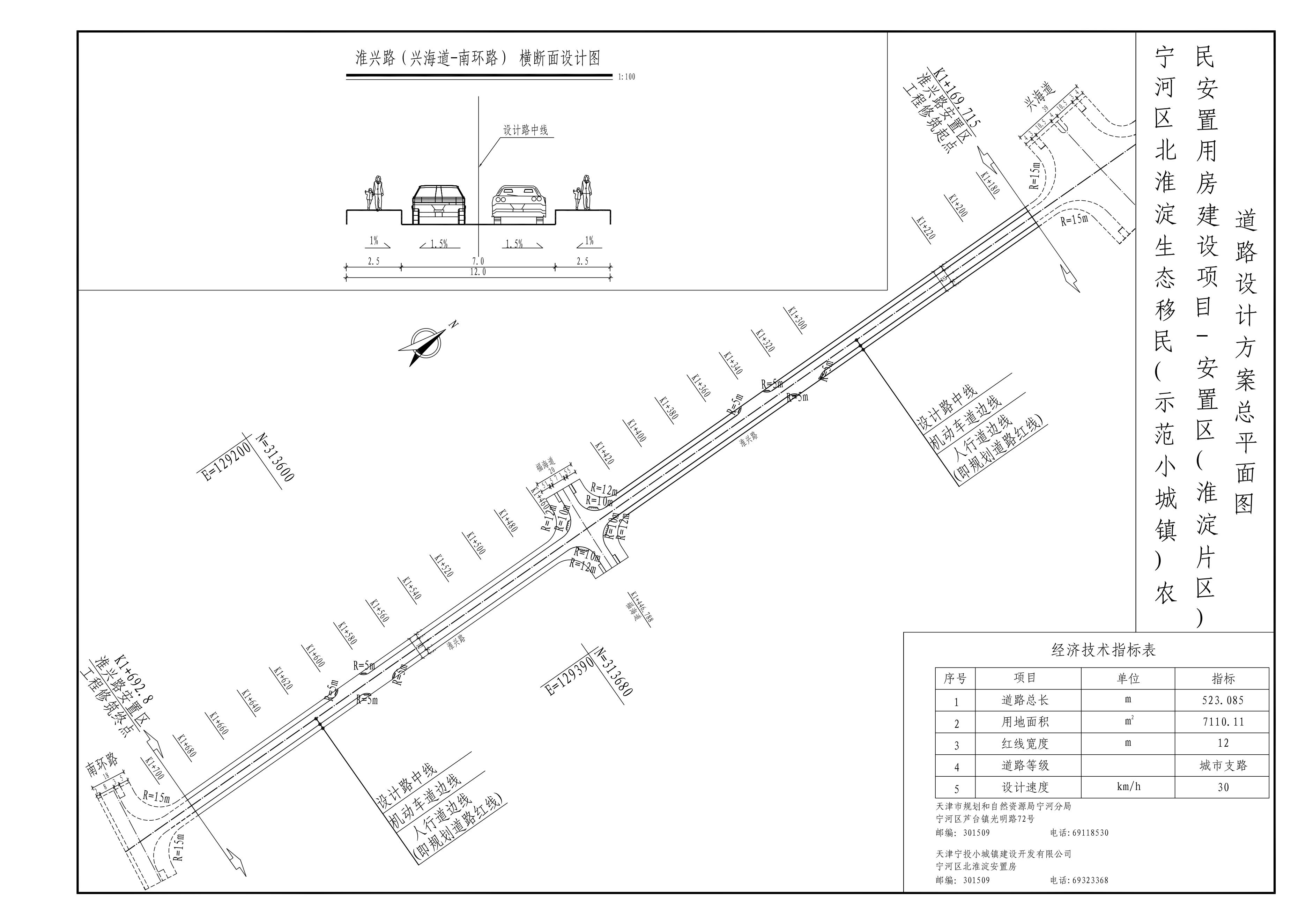
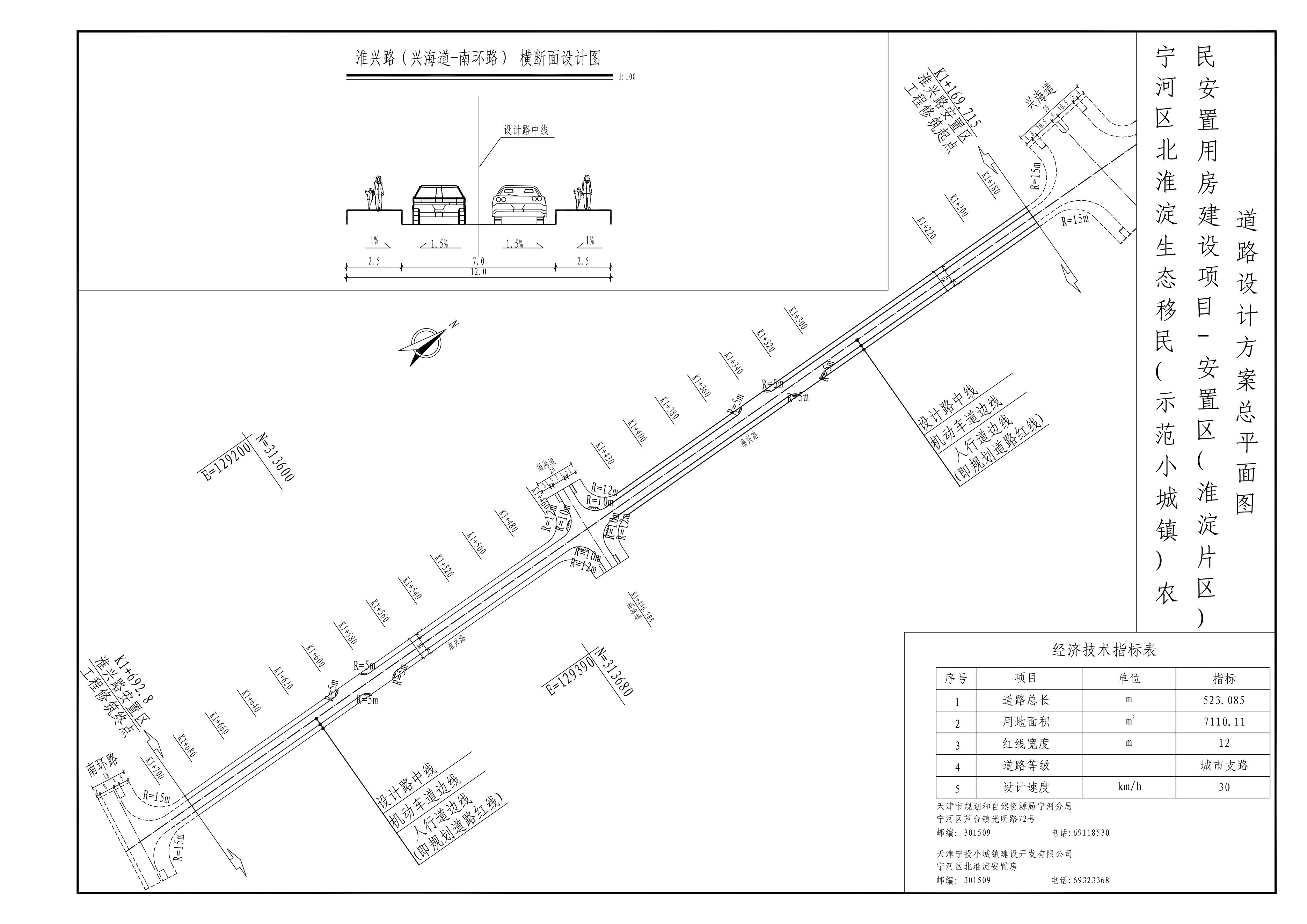
项目名称:宁河区北淮淀生态移民(示范小城镇)农民安置用房建设项目-安置区(淮淀片区)-淮兴路(兴海道-南环路)道路工程
建设单位:天津宁投小城镇建设开发有限公司
公示时间:2024年5月30日至2024年6月7日(7个工作日)
公示地点:项目现场及市规划资源局官网
公示内容:建设工程设计方案总平面图
组织单位:天津市规划和自然资源局宁河分局
联系部门:建设项目管理科
联系电话:69118530
公示期间,欢迎广大群众提出宝贵意见,逾期视为无意见。
备注:最终总平面图以核发建设工程规划许可证附图为准。






津公网安备12010102000518号