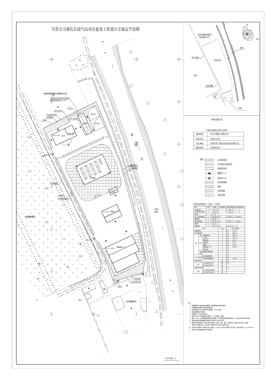
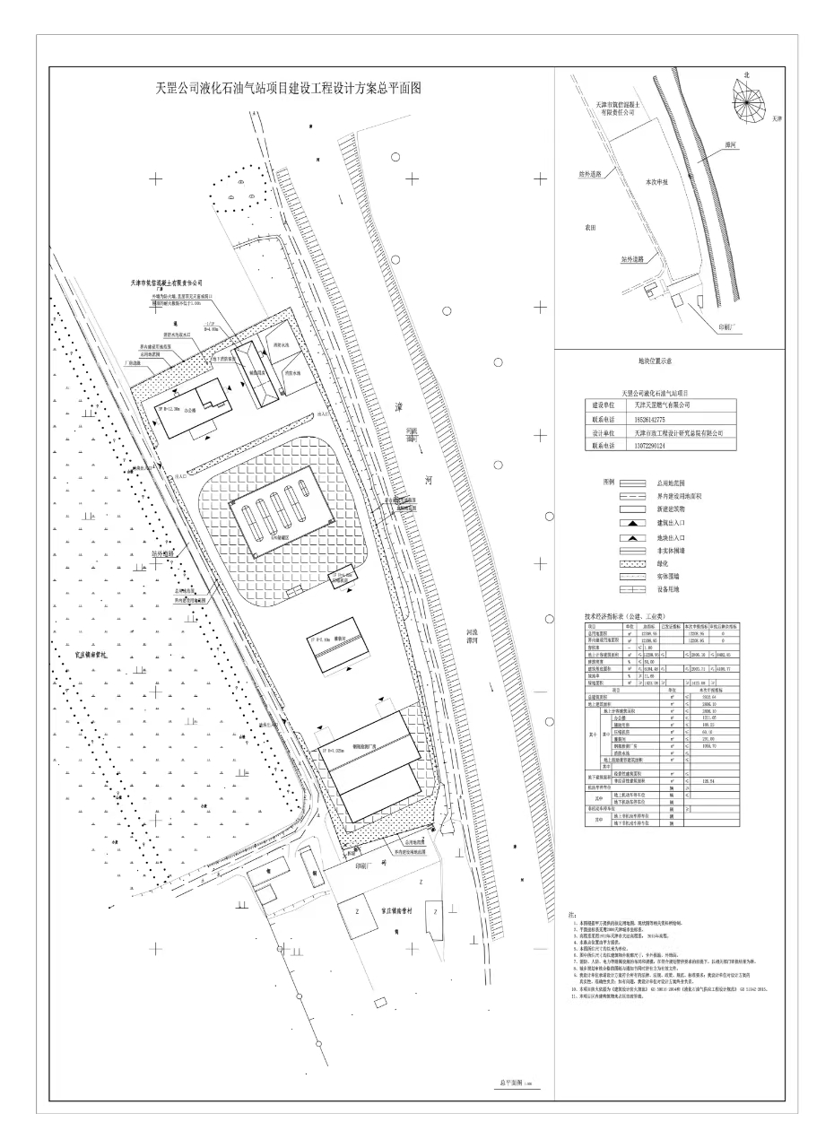
天罡公司液化石油气站项目建设工程
设计方案总平面草案
根据《中华人民共和国城乡规划法》、《中华人民共和国行政许可法》,经审核,现将天津天罡燃气有限公司在天津市蓟州区官庄镇南营村邦喜公路南侧200米,天罡公司液化石油气站项目建设工程设计方案总平面草案予以批前公示,公示期为7工作日,自2024年5月15日至2024年5月23日为止。如对本设计方案草案有不同意见,请于2024年5月23日之前以书面形式将反映情况寄(送)到天津天罡燃气有限公司、天津市政工程设计研究总院有限公司、天津市规划和自然资源局蓟州分局。单位反映情况请加盖公章,个人反映情况请签署真实姓名和工作单位,并留下联系电话、地址、邮编,以便及时与您联系。
|
来信请寄 |
天津天罡燃气有限公司 |
天津市政工程设计研究总院有限公司 |
天津市规划和自然资源局蓟州分局 |
|
地址 |
天津市蓟州区官庄镇南营村邦喜公路南侧200米 |
天津市西青区海泰南道30号 |
蓟州区迎宾路18号 |
|
邮编 |
301900 |
300000 |
301900 |
|
电话 |
15822636060 |
13072290124 |
22870883 |
2024 年 5月15日






津公网安备12010102000518号