依据《中华人民共和国城乡规划法》和住房和城乡建设部《关于城乡规划公开公示的规定》的有关要求,现将黄万铁路电气化改造工程神港站开闭所建筑设计方案总平面图进行公示。
公示时间为2024年3月15日至2024年3月25日,为期七个工作日。
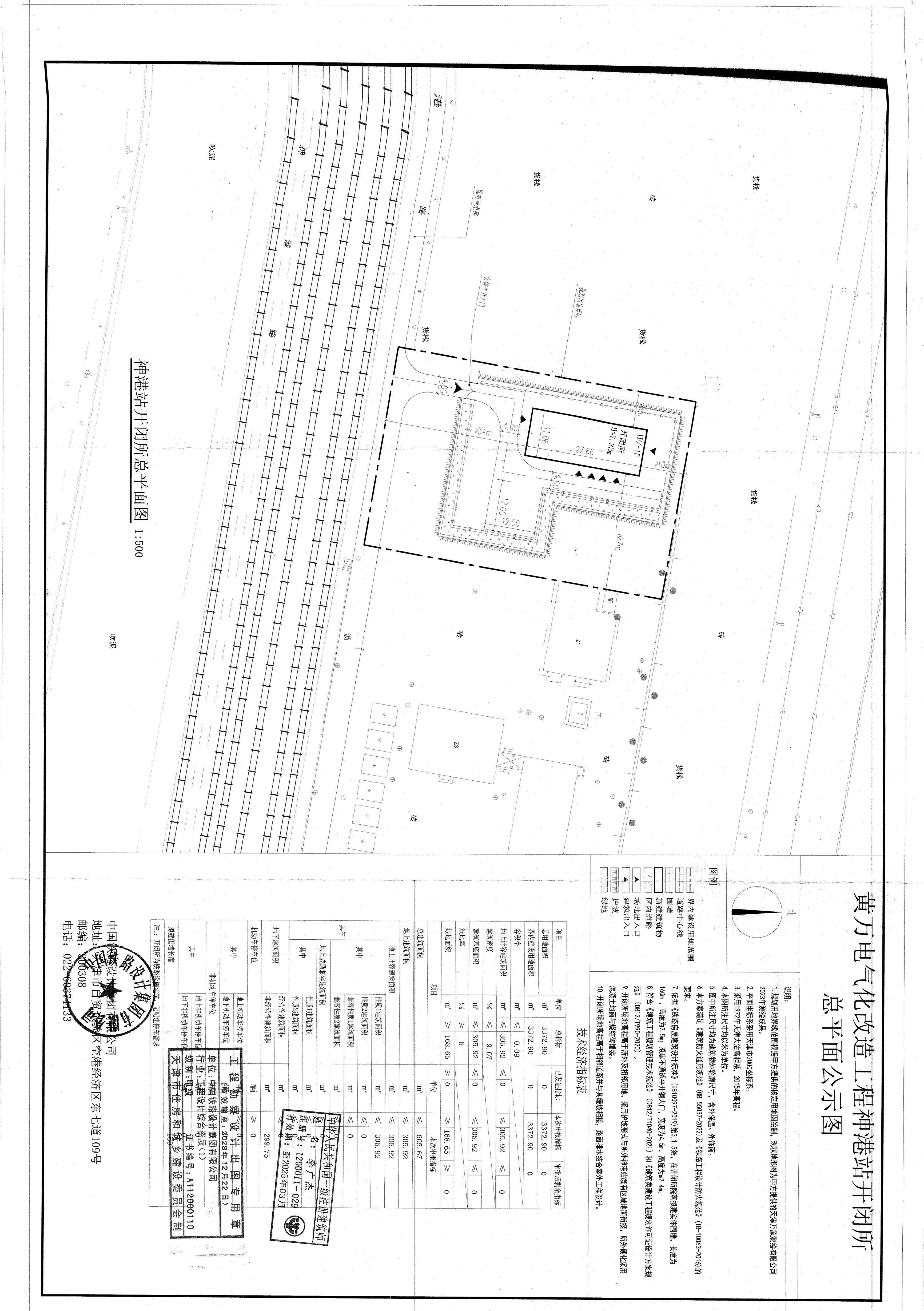
项目名称:黄万铁路电气化改造工程神港站开闭所
项目位置:滨海新区渤海石油路与闸东路交叉口东南100米
建设单位:国能朔黄铁路发展有限责任公司
设计单位:中国铁路设计集团有限公司
项目简介:该地块位于滨海新区神港路以北,交通便利。该项目为既有项目改建工程,建筑面积:总建筑面积605.67㎡,基底占地建筑面积:305.92㎡,地上建筑面积:305.92㎡,地下建筑面积:299.75 ㎡。
改建建筑位于用地西北侧,建筑主要由高压室、检修室、材料间、通讯机械及防灾间,地下电缆加层等功能组成。建筑层数及高度:建筑地下一层,地上一层;本建筑室内外高差1.8米,建筑总高度7.35米(建筑室外设计地面至檐口与屋脊的平均高度)。
公示期间,周边单位及个人如对公示内容发表意见,请以电子邮件或电话方式反馈。
信函请寄:滨海新区于家堡融和路681号宝策大厦裙房行政许可服务中心
邮编:300450
联系人:许冬雪
联系电话:022-66897905 (接听时间为 8:30—12:00,13:00-17:00)
邮 箱:gzjbhxqgs@163.com
天津市规划和自然资源局滨海新区分局
2024年3月15日
附图:建筑设计方案总平面图






津公网安备12010102000518号