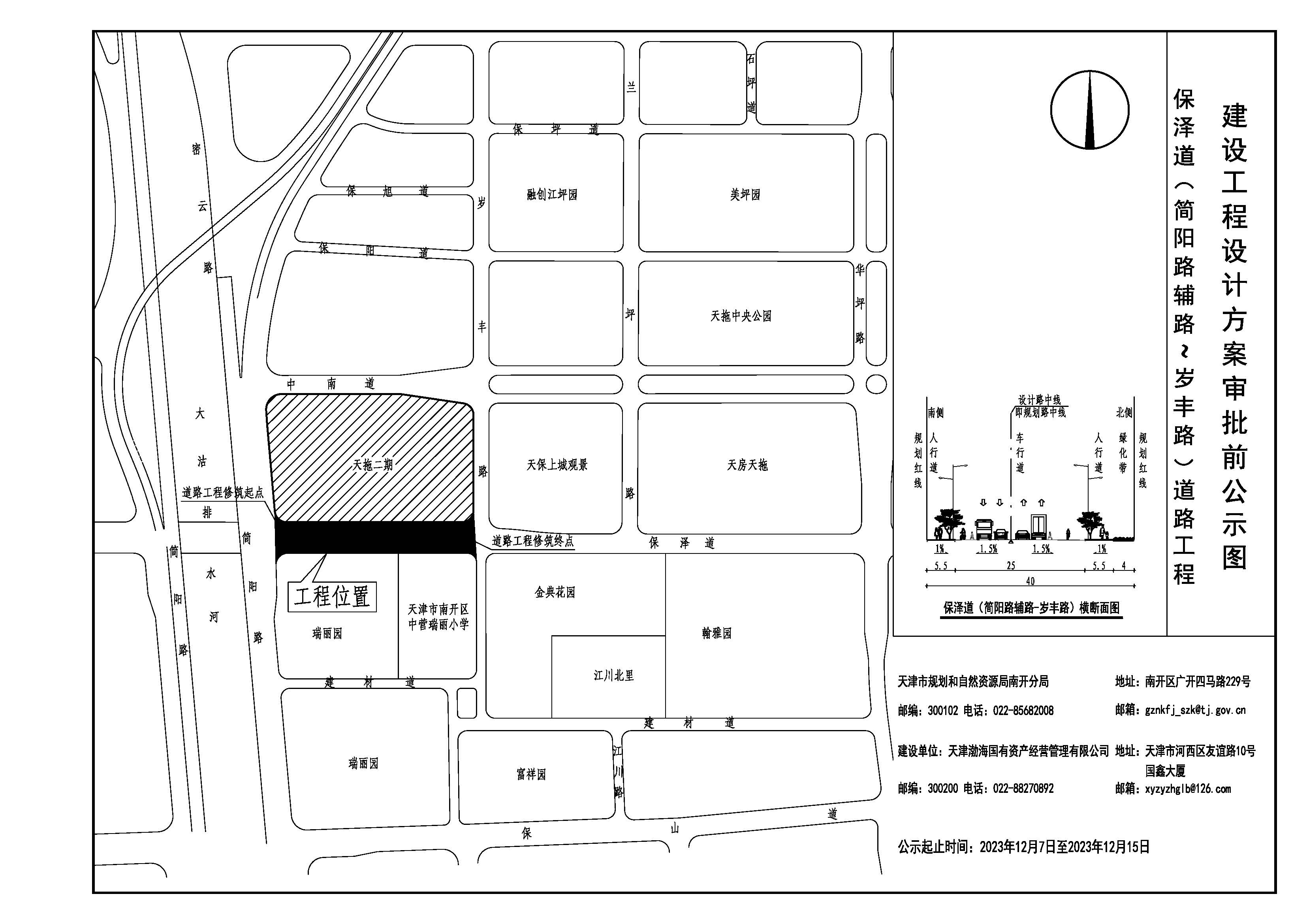
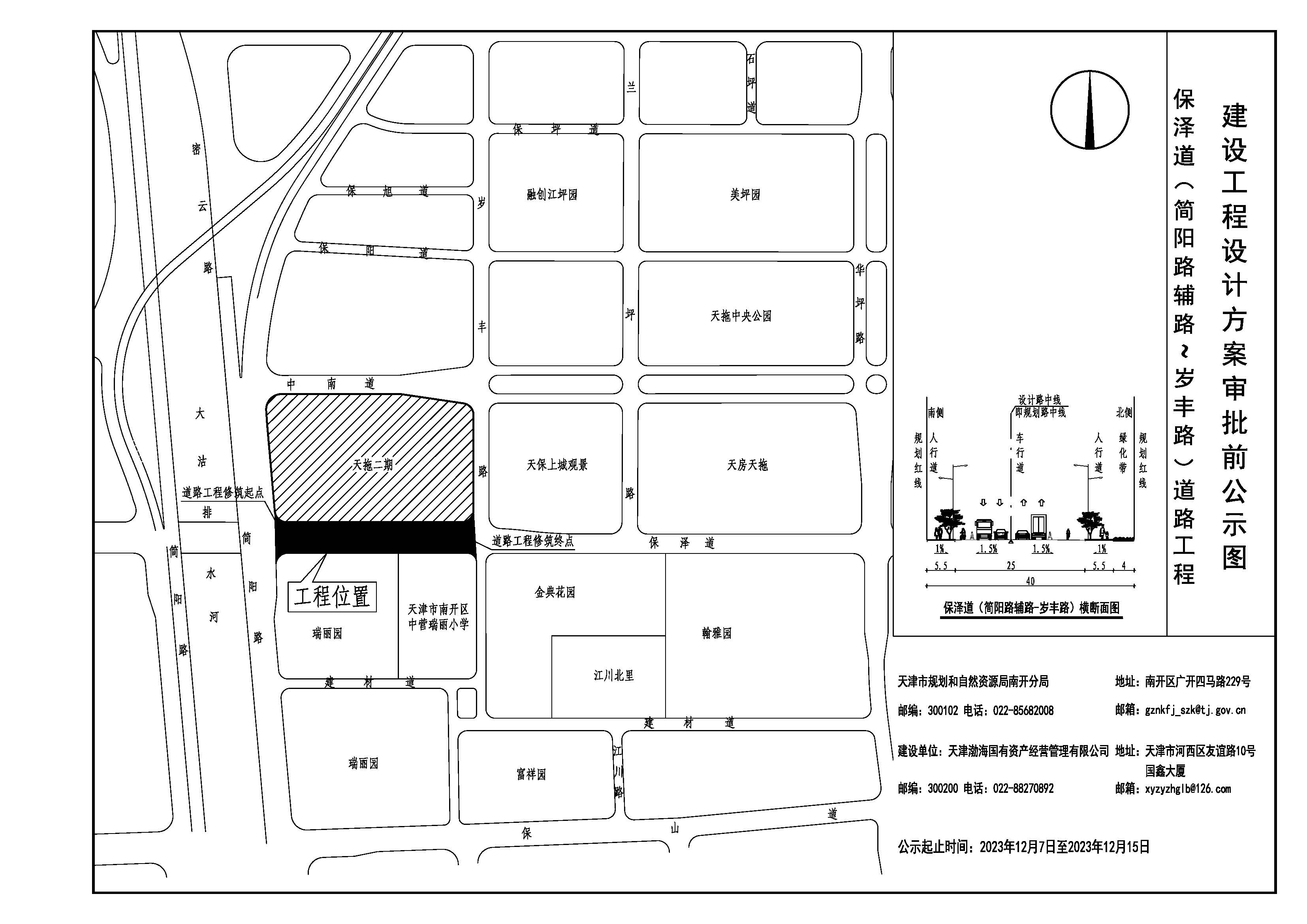
按照《中华人民共和国城乡规划法》要求,现将南开区保泽道(简阳路辅路—岁丰路)道路规划方案予以公示,公示时间为2023年12月07日—2023年12月15日
联系电话:022-85682008
联系地址:天津市南开区广开四马路229号

天津市规划和自然资源局南开分局
2023年12月07日
按照《中华人民共和国城乡规划法》要求,现将南开区保泽道(简阳路辅路—岁丰路)道路规划方案予以公示,公示时间为2023年12月07日—2023年12月15日
联系电话:022-85682008
联系地址:天津市南开区广开四马路229号

天津市规划和自然资源局南开分局
2023年12月07日
国务院相关部委
政府机关
局属单位网站
主办单位:天津市规划和自然资源局 地址:天津市和平区曲阜道84号 邮编:300042
网站标识码:1200000077 备案编号:津ICP备19001981号
津公网安备12010102000518号
版权所有:天津市规划和自然资源局