依据《中华人民共和国城乡规划法》和住房和城乡建设部《关于城乡规划公开公示的规定》的有关要求,现将天津港北港池海嘉汽车滚装码头工程项目建筑设计方案总平面图进行公示。
公示时间为2021年11月12日至2021年11月 22日,为期七个工作日。
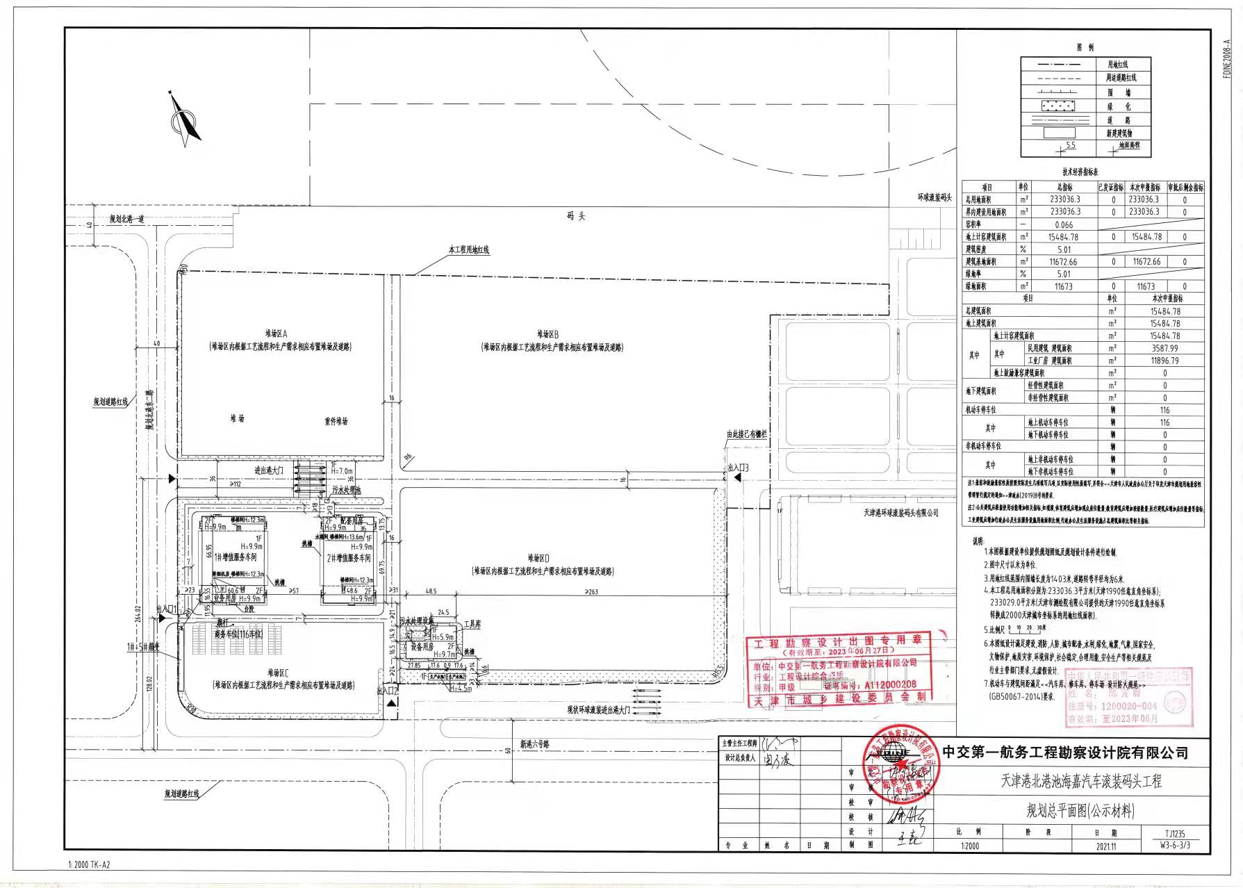
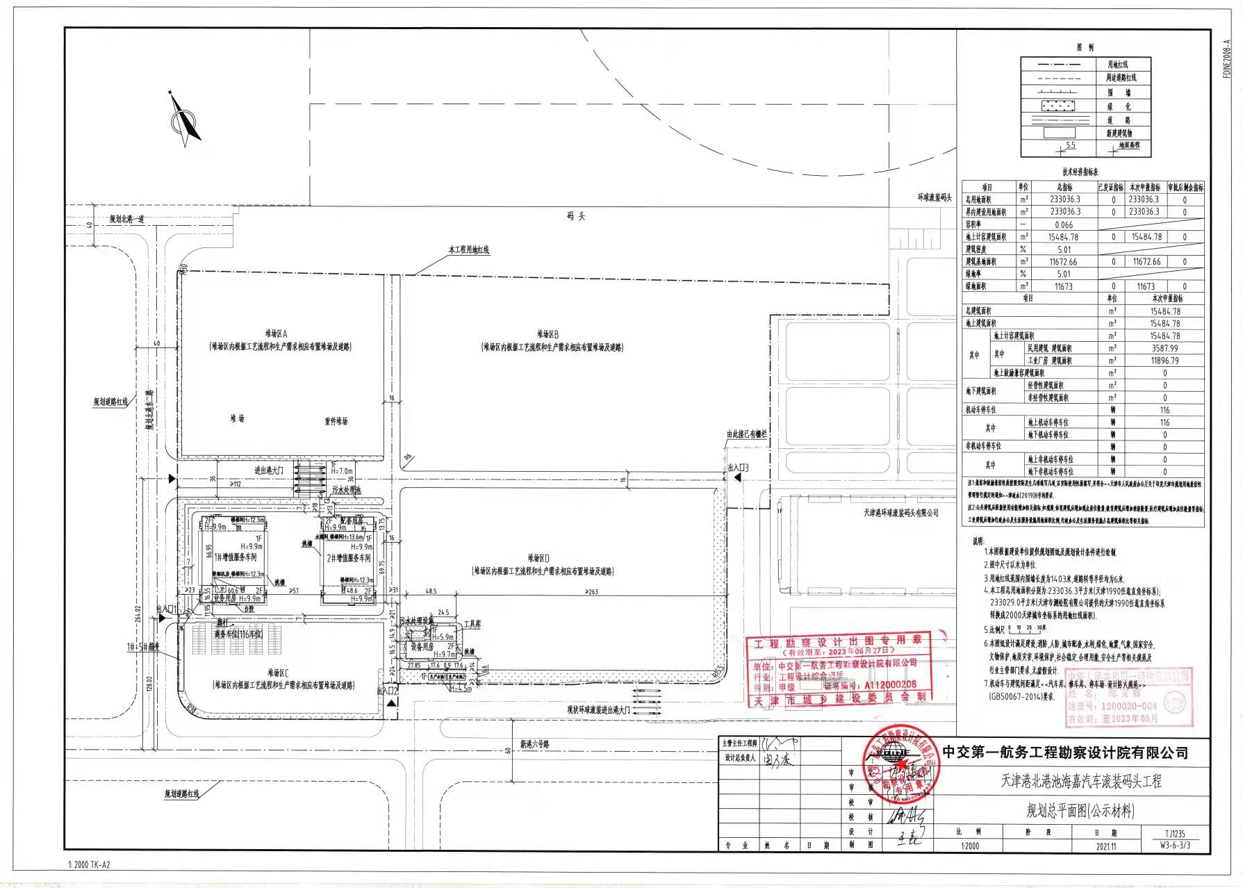
项目名称:天津港北港池海嘉汽车滚装码头工程
项目位置:天津港北疆港区
建设单位:天津港海嘉汽车码头有限公司
设计单位:中交第一航务工程勘察设计院有限公司
项目简介(变更说明):本工程主要建设内容包括码头、堆场及周边道路建设;建筑单体包括1#/2#增值服务车间、工具库、配套用房、设备用房、业务用房、进出港大门、生产水池及其他施工内容。
本次规划调整方案如下:
1.考虑到建筑色彩协调,同时兼顾便于施工以节约总体工期的原则,我公司申请对本工程除进出港大门外的1#、2#增值服务车间,工具库等共计6个单体进行外檐颜色微调,建筑物经济技术指标不变。
2.考虑到拟建的两座生产水池高度较高,且其为四周及上部封闭的结构,故本次变更考虑将两座生产水池面积共同计入项目总体经济技术指标中。
3.原上报规划堆场通过划线区分,本次上报变更拟按照面层结构区分道路及堆场,不再表示堆场区域内的划线情况,优化总平面布局。
4.本工程出入口2、出入口3各设置一座与围墙相连的铁艺大门,为便于验收故在本次报审材料中增加大门彩色立面图及效果图。
公示期间,周边单位及个人如对公示内容发表意见,请以电子邮件或电话方式反馈。
信函请寄:滨海新区于家堡融和路681号宝策大厦裙房行政许可服务中心
邮编:300450
联系人:张升鹏
联系电话:022-66897815 (接听时间为 8:30—12:00,13:00-17:00)
天津市规划和自然资源局滨海新区分局
2021年11月12日
附图:建筑设计方案总平面图
调整前图纸

调整后图纸






津公网安备12010102000518号