依据《中华人民共和国城乡规划法》和住房和城乡建设部《关于城乡规划公开公示的规定》的有关要求,现将滨海新区轨道交通Z4线一期工程 北塘站项目建筑设计方案总平面图进行公示。
公示时间为2021年9月7日至2021年9月15日,为期七个工作日。
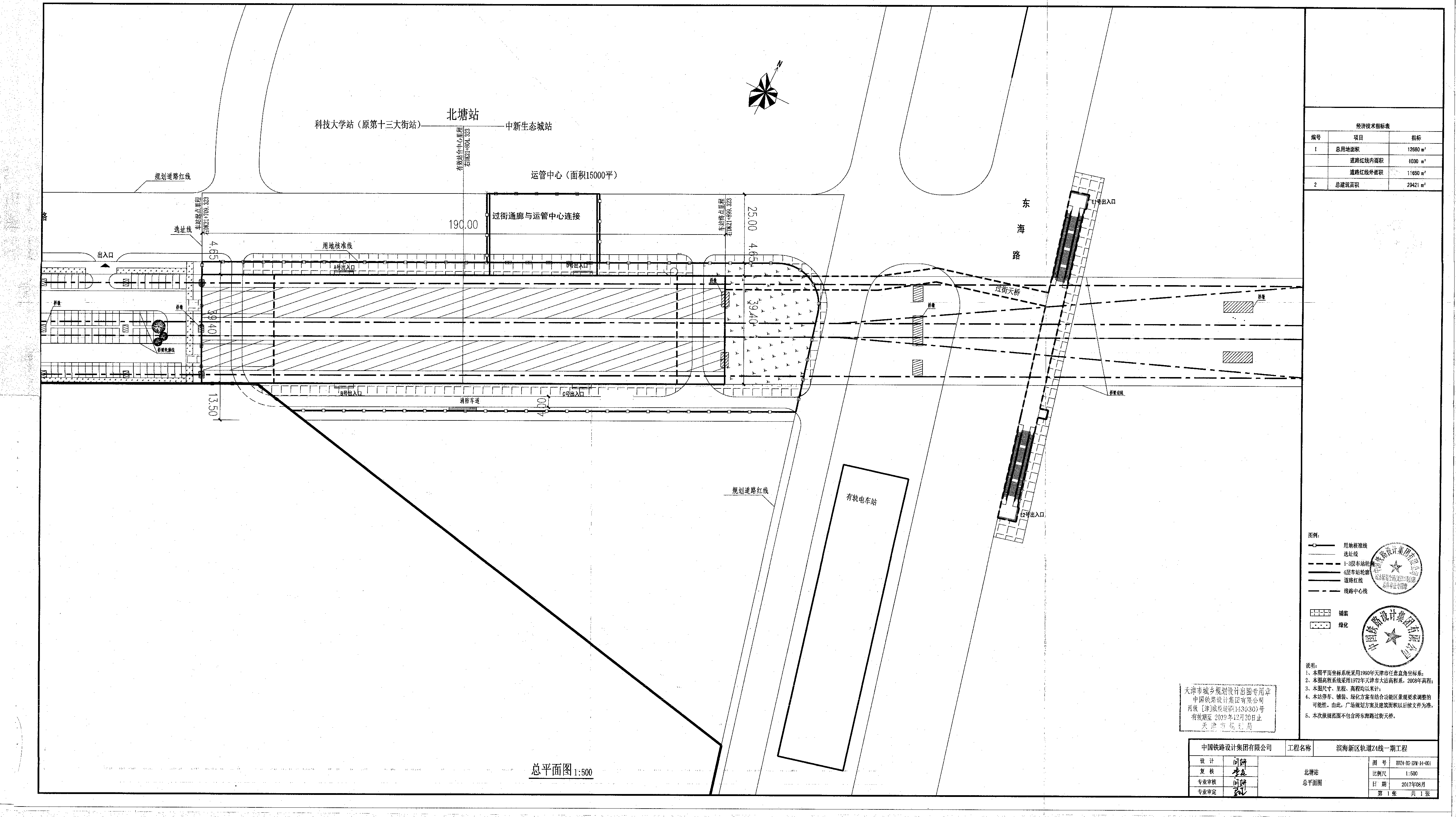
项目名称:滨海新区轨道交通Z4线一期工程 北塘站
项目位置:滨海新区开发区,东至东海路,南至柳州东道,西至规划路,北至漓江北路(规划路)。位于滨海新区东海路与规划漓江北路交叉口南侧,沿漓江北路呈东北-西南方向布置。
建设单位:天津泰达城市轨道投资发展有限公司
设计单位:中国铁路设计集团有限公司
项目简介(变更说明):Z4线北塘站是本线路的第十四座车站。本站位于滨海新区东海路与规划漓江北路交叉口南侧,沿漓江北路呈东北-西南方向布置。
本站主体为路侧地上四层双岛四线车站,站台宽度为11.00m×2,长度为155.2m,与规划Z2线换乘。车站主体建筑面积为24006.28 m2 (其中, 地上建筑面积22188.76 m2,地下建筑面积1817.52 m2),建筑高度为23.95m。
北塘站原申报和审批范围为车站主体。本次申报范围包括车站主体和部分区间。设计起点里程(右DK21+709.326)至设计终点里程(右DK21+920.585)。其中车站主体设计范围为车站起点里程(右DK21+727.324)至车站终点里程(右DK21+881.324),建筑面积为24006.28㎡(其中, 地上建筑面积22188.76 m2,地下建筑面积1817.52 m2)。部分高架区间桥梁包含在本车站用地线范围内,具体包括科技大学站(原第十三大街站)站~北塘站区间部分里程(右DK21+709.326~右DK21+727.324,长17.998m);北塘站~中新生态城站区间部分里程(右DK21+881.324 ~右DK21+920.585,长39.261m)。
公示期间,周边单位及个人如对公示内容发表意见,请以电子邮件或电话方式反馈。
信函请寄:滨海新区于家堡融和路681号宝策大厦裙房行政许可服务中心
邮编:300450
联系人:马兴伟
联系电话:022-66897929 (接听时间为 8:30—12:00,13:00-17:00)
天津市规划和自然资源局滨海新区分局
2021年9月7日
附图:建筑设计方案总平面图
调整后图纸

调整前图纸






津公网安备12010102000518号