依据《中华人民共和国城乡规划法》和住房和城乡建设部《关于城乡规划公开公示的规定》的有关要求,现将中央大道海河隧道工程35KV变电站项目建筑设计方案总平面图进行公示。
公示时间为2021年4月14日至2021年4月22日,为期七个工作日。
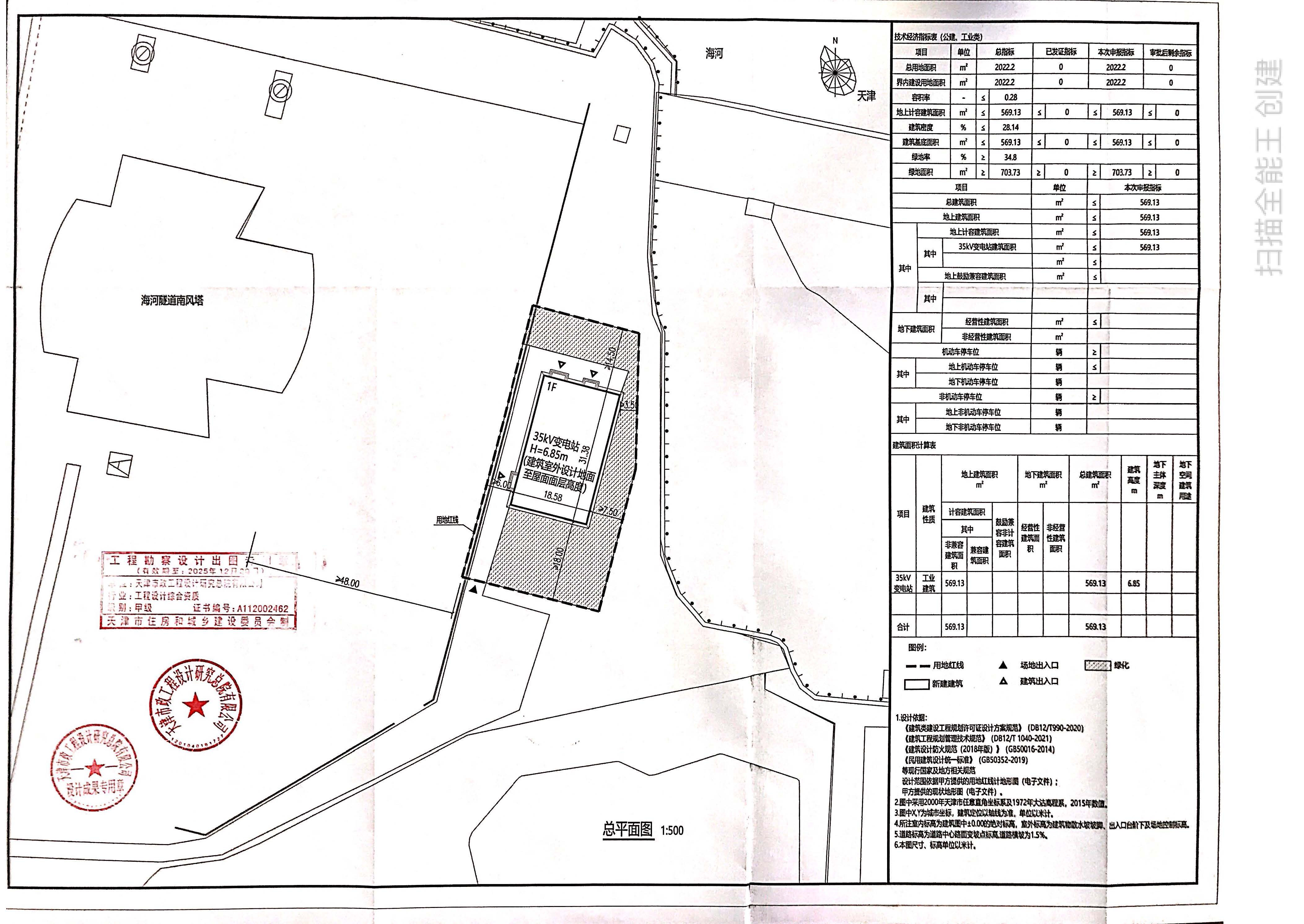
项目名称:中央大道海河隧道工程35KV变电站项目
项目位置:滨海新区塘沽,中央大道以东,步行街以南
建设单位:天津海河下游开发有限公司
设计单位:天津市政工程设计研究总院有限公司
项目简介:本项目用地面积2022.2平方米,地上建筑面积569.13平方米,地下建筑面积0平方米,总建筑面积569.13平方米。
公示期间,周边单位及个人如对公示内容发表意见,请以电子邮件或电话方式反馈。
信函请寄:滨海新区于家堡融和路681号宝策大厦裙房行政许可服务中心
邮编:300450
联系人:赵娜
联系电话:022-66897844 (接听时间为 8:30—12:00,13:00-17:00)
天津市规划和自然资源局滨海新区分局
2021年4月14日
附图:建筑设计方案总平面图






津公网安备12010102000518号