规划公布
(蓟州区)天津天罡燃气有限公司天罡公司液化石油气站项目建设工程规划许可证变更设计方案公布通知
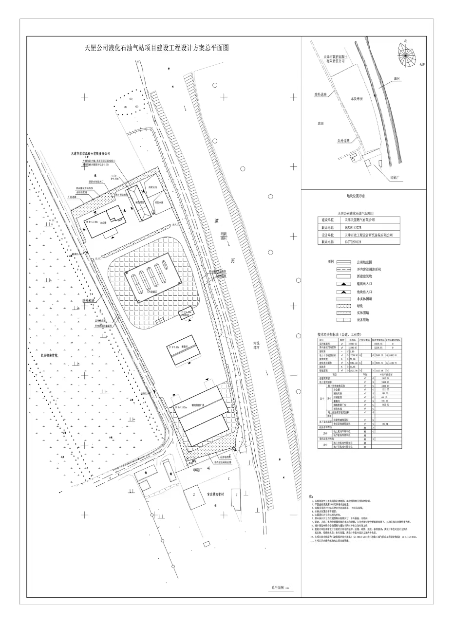
天津市规划和自然资源局蓟州分局于2024年5月24日审定了天津天罡燃气有限公司天罡公司液化石油气站建设项目建设工程规划许可证变更设计方案,依据《中华人民共和国城乡规划法》和住房和城乡建设部《关于城乡规划公示公开的规定》的有关要求,现将该项目变更建设工程规划许可证设计方案总平面图公布,公布时间至项目规划验收合格。
天津市规划和自然资源局蓟州分局
2024年5月24日

附件下载:
1
、
公布图.jpg





津公网安备12010102000518号