规划公布
(静海区)天津市百隆建设发展有限公司协和家园(一期)项目(变更)建设工程规划许可证批后公布
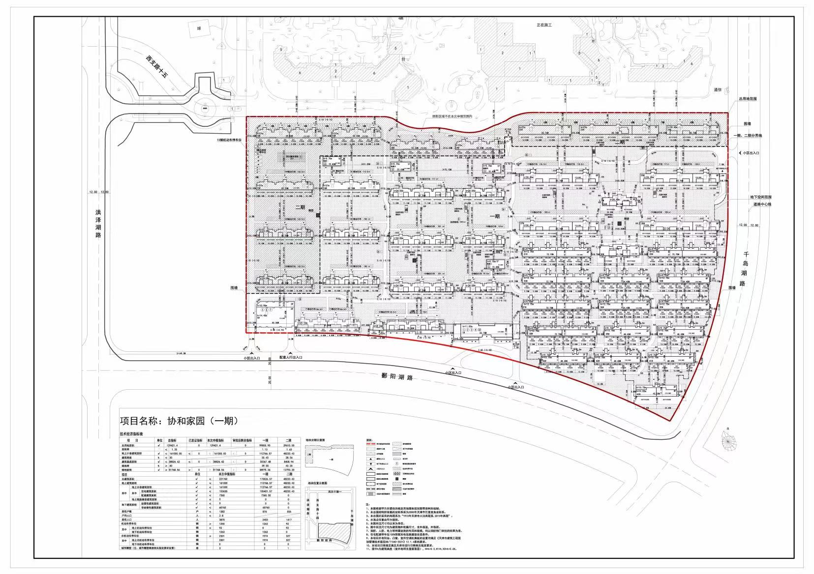
天津市规划和自然资源局静海分局,依据《中华人民共和国城乡规划法》的有关要求,现将天津市百隆建设发展有限公司协和家园(一期)项目(变更)建筑工程设计方案总平面图进行公布,公布期限为信息发布之日起至建设项目规划验收合格为止。
附件下载:
1
、
协和家园一期.jpg





津公网安备12010102000518号