规划公布
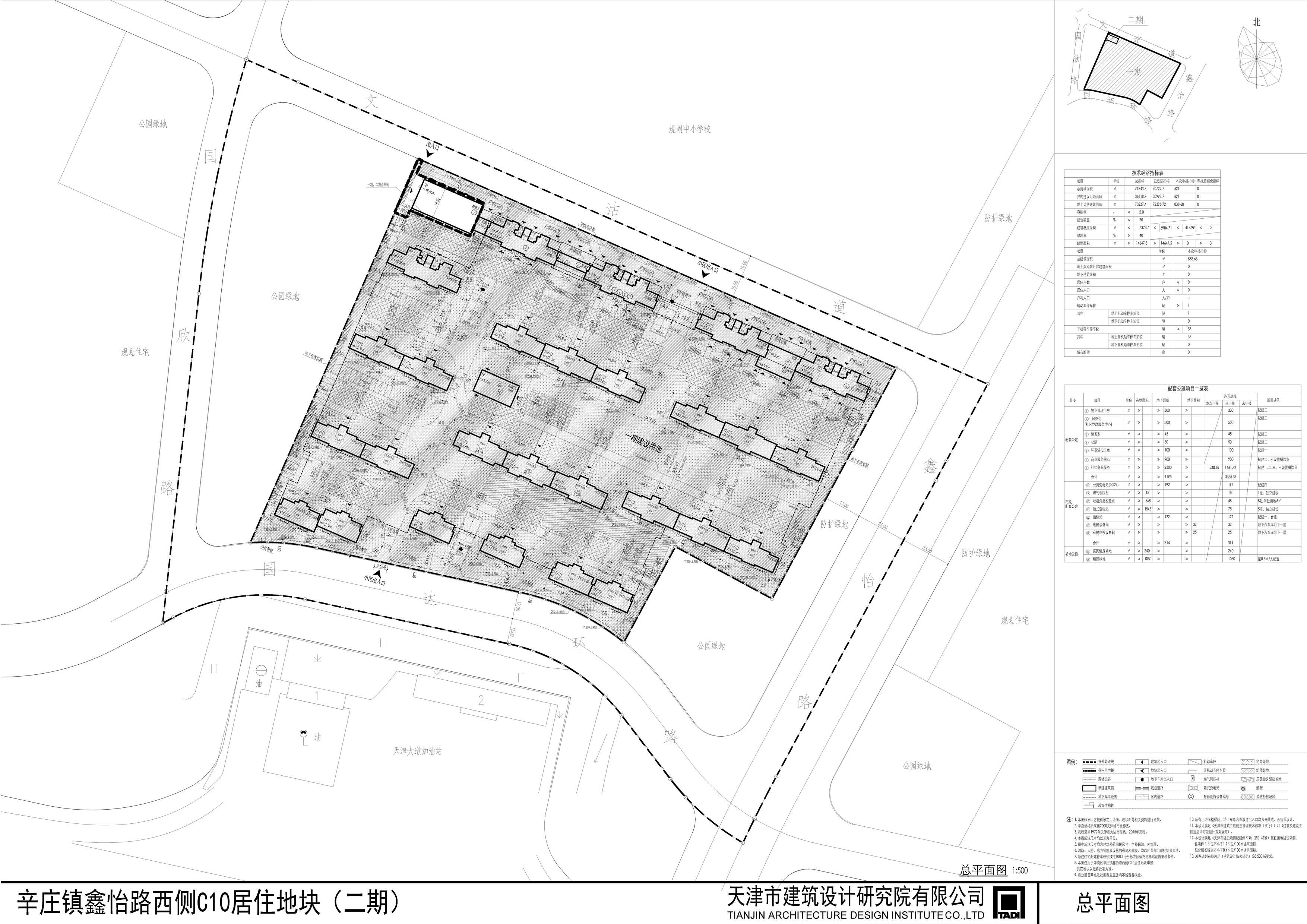
(津南区)中铁建设集团(天津)置业有限公司辛庄镇鑫怡路西侧C10居住地块(二期)项目建设工程设计方案总平面图的公布
依据《中华人民共和国城乡规划法》的有关要求,现将中铁建设集团(天津)置业有限公司辛庄镇鑫怡路西侧C10居住地块(二期)总平面图进行公布,公布期限为信息发布之日至建设项目规划验收合格为止。
通讯地址:天津市津南区南环路3号
联系电话:88510862
天津市规划和自然资源局津南分局
2022年8月27日

附件下载:
1
、
未标题-2.jpg





津公网安备12010102000518号