规划公布
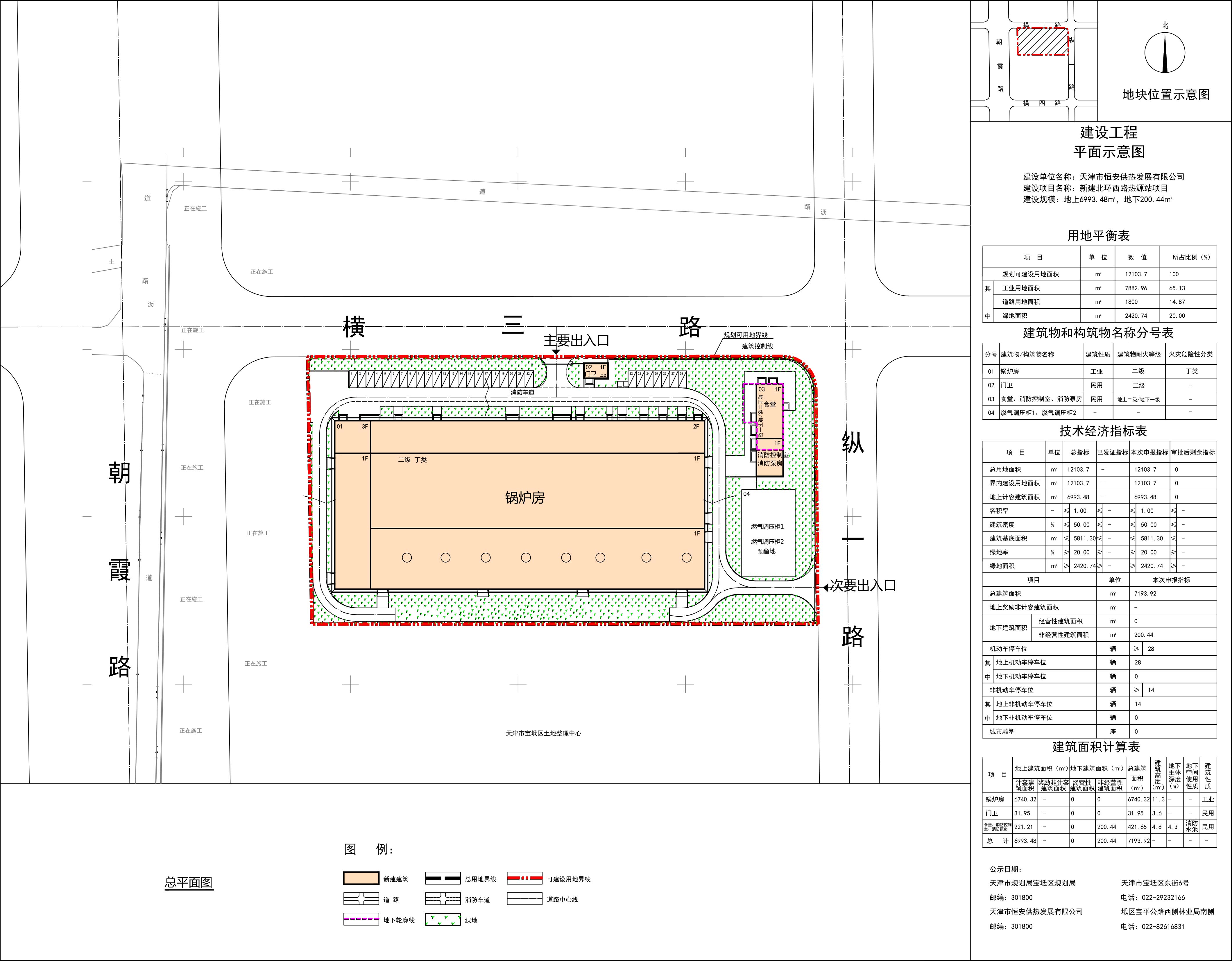
天津市恒安供热发展有限公司申请的新建北环西路热源站锅炉房、门卫、食堂消防控制室消防泵房项目建设工程设计方案总平面图公布
依据《中华人民共和国城乡规划法》和住房城乡建设部《关于城乡规划公开公示的规定》等相关规定要求,现将天津市恒安供热发展有限公司申请的新建北环西路热源站锅炉房、门卫、食堂消防控制室消防泵房项目建筑设计方案总平面图进行批后公布,公布时间至规划验收合格为止。

附件下载:





津公网安备12010102000518号