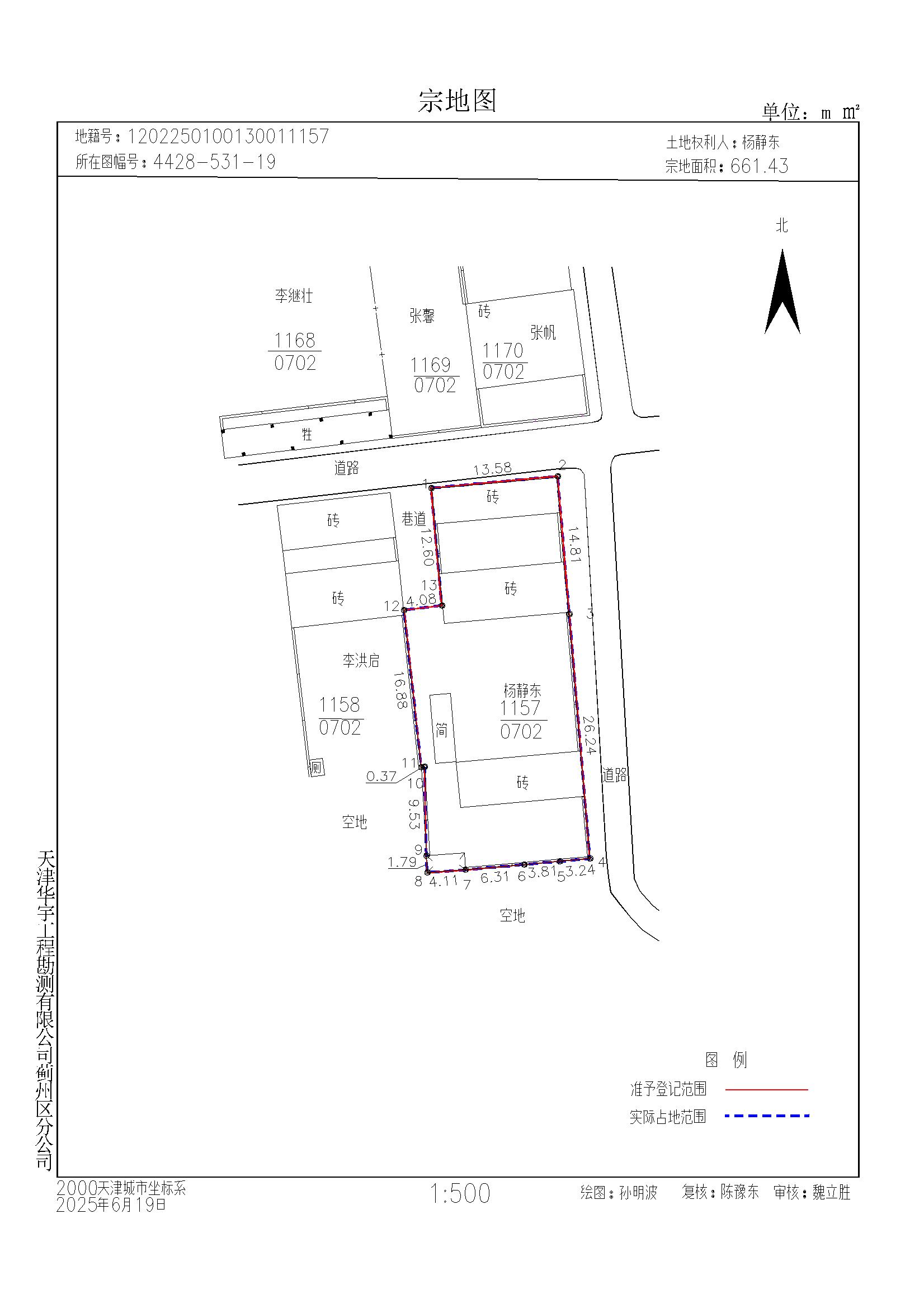
杨静东于 2025 年05月在我分局办理了坐落在西龙虎峪镇蔡老庄村不动产权登记手续,不动产权证号为津(2025)蓟州区不动产权第0175065号。宅基确权面积200.00平方米,超标占地为461.43平方米,符合规定用地范围内房屋面积122.41平方米。四至为东邻道路,西邻巷道,南邻空地,北邻道路。
2025年6月18日蓟州区西龙虎峪人民政府、西龙虎峪镇蔡老庄村民委员会重新对杨静东的宅基地及地上房屋使用情况进行了确认,依据确认结果,我分局拟重新对该宅基地及地上房屋进行确认登记,宅基地确权登记面积为:661.43平方米,房屋面积187.02平方米。四至为东邻道路,西邻巷道、李洪启、空地,南邻空地,北邻道路。
现将以上情况予以公告,相关利害关系人对以上情况如有异议,可在公告之日起15日内向天津市规划和自然资源局蓟州分局提出,联系电话:22766486。
特此公告。
天津市规划和自然资源局蓟州分局
2025年06月19日






津公网安备12010102000518号